土地 桶川市坂田西1丁目
所在地
桶川市坂田西1丁目
2,750万円
115.67坪
物件概要
- 交通
-
湘南新宿高 桶川駅 まで 徒歩23分
- 接道状況
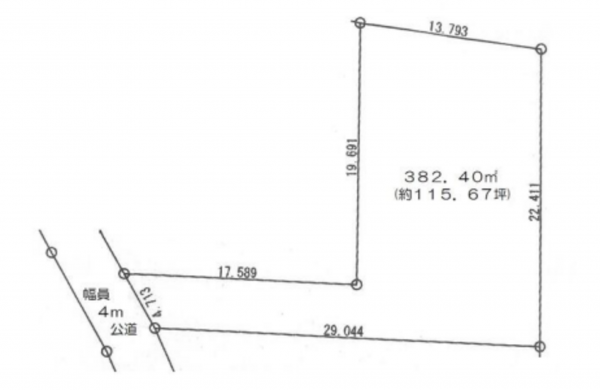
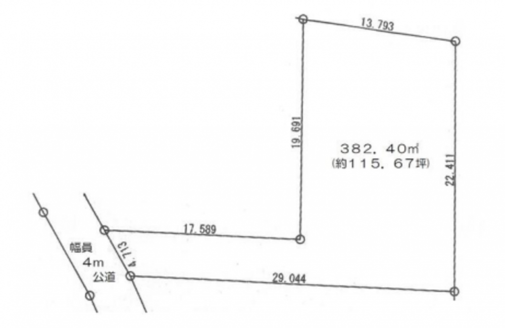
- 西側 公道4m 間口約4.7m
- 土地面積
- 公簿 382.40㎡ (115.67坪)
- 建ぺい率
- 50%
- 容積率
- 100%
- 土地権利
- セットバック
- 無し
- 小学校区
- 中学校区
- 私道負担
- 建築条件
- ー
- 地目
- 宅地
- 現況
- 上物有
- 引渡時期
- 相談
- 上水道
- 下水道
- ガス
- 都市計画
- 市街化区域
- 用途地域
- 1種低層
- 設備・条件
- 備考
- 取引態様
- 仲介

